Passengers on two planes that took off from Houston George Bush Intercontinental Airport earlier this month had a hair-raising experience after the pilots had to perform an emergency manoeuvre to prevent a potential mid-air collision.
The reason for this near-catastrophic accident? It appears that the pilots of one of the planes accidentally turned right just after takeoff when they had actually been instructed to turn left.
While the incident occurred on December 18, details of this incredible near miss are only now coming to light after audio from air traffic control communications was unearthed.
Volaris and United Express planes take off at the same time
The incident involved an Airbus A320neo belonging to Volaris El Salvador and a United Express Embraer E145 regional jet, which was being operated by CommuteAir.
Flight details
- Flight 1: Volaris El Salvador flight N3-4321 flying to San Salvador
- Flight 2: United Express flight UA-4814 flying to Jackson
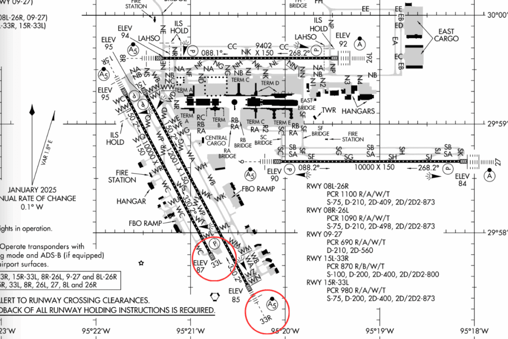
As can be seen in the airfield map below, the Volaris Airbus A320neo was lined up for takeoff on runway 33L, while the United Express regional jet was lined up to take off on the parallel runway 33R.

After takeoff, the pilots of the Volaris plane had been told by air traffic control to turn slightly left at a heading of 110 degrees, while the pilots of the United Express plane had been instructed to turn right at a heading of 340 degrees.
The Volaris plane was first cleared for takeoff, followed 20 seconds later by takeoff clearance given to the United Express jet.
As it turned out, both airplanes ended up starting their takeoff sequence at roughly the same time, but this shouldn’t have been a problem, as they had been given post-takeoff instructions that would prevent any risk of a collision.
Pilots of Volaris plane turned right instead of left
Unfortunately, that’s not quite how things turned out. After takeoff, the pilots of the Volaris aircraft thought they had been instructed to turn right and even called air traffic control to confirm that this was the direction they were due to be headed.
The controller initially reiterated the instruction, seemingly unaware that the aircraft had already commenced the wrong turn, saying: “Let’s see, Jetsal 4321, yes, so left turn to 110.”
By this point, the pilots of the Volaris had already turned right, and a collision alert had activated on the air traffic controller’s system. Even then, however, the controller didn’t immediately respond to the unfolding situation as they were busy giving takeoff clearance to another aircraft.
Cockpit warning systems helps prevent mid-air collision
Thankfully, an emergency cockpit alert system in the United Express system kicked in and alerted the pilots of a potential mid-air collision unless evasive action was taken.
The system is known as TCAS, which stands for ‘Traffic Alert and Collision Avoidance System’, and it’s often described as a last line of defense system.
TCAS sounds an audible alarm in the cockpit if it detects the threat of a midair collision. It functions independently of ground-based alert systems, giving alerts when all other systems have failed.
The system provides two levels of threat alert: Traffic advisories and resolution advisories. In this case, a more serious resolution advisory was provided to the United Express plane.
No reports of injuries
When pilots receive a resolution advisory, the TCAS system will give instructions on what kind of manoeuvre to perform, which could involve quickly climbing or descending to get out of the way of the other aircraft.
These manoeuvres can be pretty dramatic, and, in the past, resolution advisories have resulted in some nasty injuries to passengers and crew who have been thrown about the cabin.
In this case, there were no reported injuries, which is likely down to the fact that the incident occurred so soon after takeoff, so all the passengers and crew were still strapped in.
Bottom line
The Federal Aviation Administration (FAA) has yet to confirm whether it will be investigating the circumstances of this near-miss, although there will, no doubt, be a post-mortem of this incident.
While parallel takeoffs and landings are permitted at many airports around the world, they do come with increased risk. In October, a Nouvelair Airbus A320 nearly landed on top of an EasyJet Airbus A320 at Nice Airport in the South of France.
In that incident, the EasyJet plane was lined up to take off while the Nouvelair plane had been given permission to land on a parallel runway. The pilots of the Nouvelair aircraft, however, accidentally lined up to land on the wrong runway.
Investigators are looking into whether the pilots of the Nouvelair plane became confused because the runway being used by the EasyJet plane had much brighter LED lights than the one they were meant to land on.
TOTH: One Mile At A Time
Related
Mateusz Maszczynski honed his skills as an international flight attendant at the most prominent airline in the Middle East and has been flying ever since... most recently for a well known European airline. Matt is passionate about the aviation industry and has become an expert in passenger experience and human-centric stories. Always keeping an ear close to the ground, Matt's industry insights, analysis and news coverage is frequently relied upon by some of the biggest names in journalism.